Актуальная информация размещается https://arhcity.gosuslugi.ru/
АРХАНГЕЛЬСКАЯ ГОРОДСКАЯ ДУМА
Тридцать девятая сессия двадцать шестого созыва
Р Е Ш Е Н И Е
от 21 июня 2017 г. № 550
Об изменении границ территории территориального общественного самоуправления "Ягодный" на территории муниципального образования
"Город Архангельск"
В соответствии с Федеральным законом от 06.10.2003 № 131-ФЗ "Об общих принципах организации местного самоуправления в Российской Федерации" (с изменениями и дополнениями), Уставом муниципального образования "Город Архангельск", Положением о территориальном общественном самоуправлении в муниципальном образовании "Город Архангельск", утверждённым решением Архангельского городского Совета депутатов от 16.05.2007 № 396 (с изменениями и дополнениями), на основании обращения председателя территориального общественного самоуправления "Ягодный" Ивановой А.В. Архангельская городская Дума р е ш и л а:
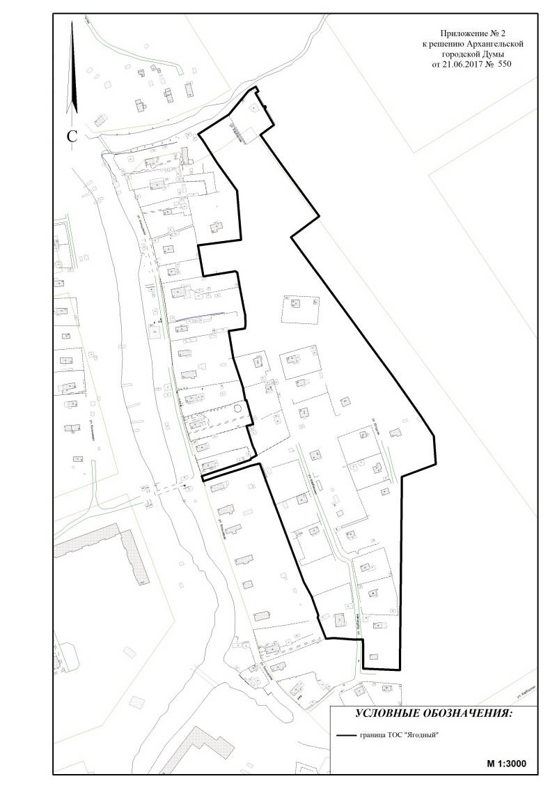
Изменить установленные решением Архангельской городской Думы от 15.02.2017 № 499 границы территории, на которой осуществляется деятельность территориального общественного самоуправления "Ягодный" на территории муниципального образования "Город Архангельск", установив новые границы согласно приложениям № 1 и № 2 к настоящему решению.
Председатель городской Думы В.В. Сырова
Последнее изменение: 12.07.2017 09:56:12















































