На данном сайте содержится информация о деятельности Администрации городского округа «Город Архангельск» по состоянию на 31.12.2025.
Актуальная информация размещается https://arhcity.gosuslugi.ru/
Изъятие земельных участков для муниципальных нужд
Сообщение о планируемом изъятии земельного участка для муниципальных нужд по адресу: г. Архангельск, ул. Гвардейская, д. 1, корп. 3.

1. Цель изъятия земельного участка для муниципальных нужд – изъятие земельного участка в связи с признанием многоквартирного жилого дома № 1, корп. 3
по ул. Гвардейской в г. Архангельске аварийным и подлежащим сносу.
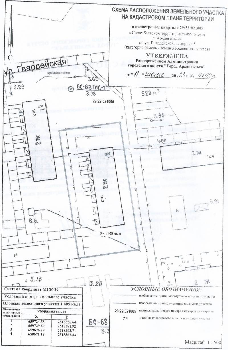
2. Адрес месторасположения земельного участка: г. Архангельск, ул. Гвардейская, д. 1, корп. 3. Данный земельный участок расположен в кадастровом квартале 29:22:021005. Утвержденная схема расположения земельного участка:

На данном земельном участке расположены следующие объекты недвижимости:
ул. Гвардейская, д. 1, корп. 3, кв. 2, кадастровый номер 29:22:021005:48;
ул. Гвардейская, д. 1, корп. 3, кв. 3, кадастровый номер 29:22:021005:43;
ул. Гвардейская, д. 1, корп. 3, кв. 6, кадастровый номер 29:22:021005:50;
ул. Гвардейская, д. 1, корп. 3, кв. 8, кадастровый номер 29:22:021005:46;
ул. Гвардейская, д. 1, корп. 3, кв. 9, кадастровый номер 29:22:021005:51.
3. Получить информацию о предполагаемом изъятии земельного участка, указанного в п. 1 настоящего сообщения, и расположенных на нем объектов недвижимого имущества для муниципальных нужд, а также подать заявления об учете прав на земельный участок и иные объекты недвижимого имущества, заинтересованные лица могут по адресу: г. Архангельск, пл. В.И. Ленина, д. 5, каб. 440 тел.(8182) 60-74-68. Заявление на подачу информации может быть подано заинтересованными лицами в течение 60 дней с момента опубликования настоящего сообщения.
4. Официальный информационный интернет-портал городского округа "Город Архангельск", где размещено настоящее сообщение - www.arhcity.ru. Также настоящее сообщение размещено на информационном стенде у каб. 423, расположенном по адресу: г. Архангельск, пл. В.И. Ленина, д. 5.
5. Уполномоченный орган местного самоуправления, осуществляющий выявление лиц, земельный участок которых подлежит изъятию для муниципальных нужд – Администрация городского округа "Город Архангельск" в лице департамента муниципального имущества Администрации городского округа "Город Архангельск".
 

Скоро что то будет...
Оцените полезность информации:
Дата публикации документа: 31.07.2023 12:09:11
Последнее изменение: 31.07.2023 12:09:11
Навигация по разделу

Решаем вместе
Не убран мусор, яма на дороге, не горит фонарь? Столкнулись с проблемой — сообщите о ней!