Сообщение о планируемом изъятии земельного участка для муниципальных нужд по адресу: г. Архангельск, ул. Партизанская, д. 32/ул. Красных маршалов, 15
1. Цель изъятия земельного участка для муниципальных нужд – изъятие земельного участка в связи с признанием многоквартирного жилого дома по ул. Партизанской, д. 32/ул. Красных маршалов, 15 аварийным и подлежащим сносу.
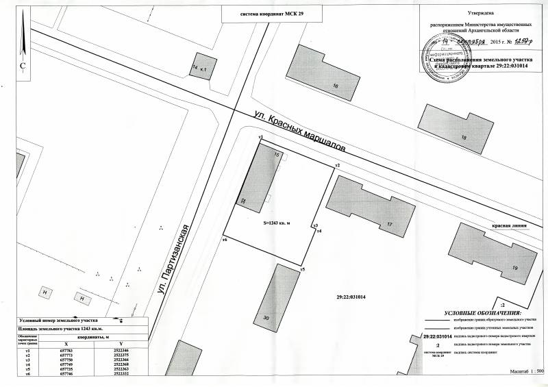
2. Адрес месторасположения земельного участка: г. Архангельск, ул. Партизанская, д. 32/ул. Красных маршалов, 15. Данный земельный участок расположен в кадастровом квартале 29:22:031014. Утвержденная схема расположения земельного участка:

На данном земельном участке расположены следующие объекты недвижимости:
- ул. Партизанская, д. 32, квартира № 3, кадастровый номер 29:22:031014:352;
- ул. Партизанская, д. 32, квартира № 6, кадастровый номер 29:22:031014:355;
- ул. Партизанская, д. 32, квартира № 8, кадастровый номер 29:22:031014:357.
1. Получить информацию о предполагаемом изъятии земельного участка, указанного в п. 1 настоящего сообщения, и расположенных на нем объектов недвижимого имущества для муниципальных нужд, а также подать заявления об учете прав на земельный участок и иные объекты недвижимого имущества, заинтересованные лица могут по адресу: г. Архангельск, пл. В.И. Ленина, д. 5, каб. 518а, тел. 607-468. Заявление на подачу информации может быть подано заинтересованными лицами в течение 60 дней с момента опубликования настоящего сообщения.
2. Официальный сайт Администрации МО "Город Архангельск", где размещено настоящее сообщение - www.arhcity.ru. Также настоящее сообщение размещено на информационном стенде, расположенном по адресу: г. Архангельск, пл. В.И. Ленина, д. 5, каб. 423, и в газете "Архангельск - город воинской славы".
3. Уполномоченный орган местного самоуправления, осуществляющий выявление лиц, земельный участок которых подлежит изъятию для муниципальных нужд – Администрация МО "Город Архангельск" в лице департамента муниципального имущества Администрации МО "Город Архангельск".